快訊

    有片/怪物颶風「美莉莎」巍峨眼牆曝光 牙買加瑟瑟發抖「無法做好準備」

    2025-10-28 15:00 / 作者 簡竹君
    被暱稱為「颶風獵人」的美國空軍第53氣象偵察中隊,拍攝颶風「美莉莎」眼牆。翻攝 Hurricane Hunter
    今年最強颶風美莉莎(Hurricane Melissa)挾帶時速282公里強風,正以最高等級5級颶風之姿逼近牙買加,民眾說知道要做些甚麼,但也無奈:「我們根本無法為五級颶風做好準備」。美軍「颶風獵人」飛入美莉莎中心蒐集風暴的氣象數據,影片可見美莉莎厚實高聳的眼牆。



    美國國家颶風中心(National Hurricane Center)昨晚(10/27)向牙買加居民發出了警告,預計週二(10/28)將出現災難性的山洪暴發、多處山體滑坡,要求民眾留在安全的避難所。

    「國家颶風中心」指颶風眼牆的破壞性強風可能導致建築物完全倒塌,造成大面積基礎設施受損、電力和通訊長時間中斷以及社區隔離(切斷交通),「如果不立即採取行動,可能會導致重傷或重大生命損失」。

    2025年10月26日,牙買加民眾在5級颶風「美莉莎」來襲前,加緊修繕加固房屋。美聯社


    美國有線電視新聞網(CNN)報導,暱稱為「(颶風獵人Hurricane Hunter)」的美國空軍第53氣象偵察中隊軍機深入美莉莎風眼,影片可見其眼牆結構完整,雲牆高聳緊密。

    美國國家颶風中心指出,美莉莎最低中心氣壓已從週一晚間的909毫巴,下降至週二凌晨的901毫巴。一般來說,氣壓越低風暴越強,而2005年幾乎摧毀美國紐奧良的卡崔娜颶風(Hurricane Katrina)最低中心氣壓為902毫巴,這顯示美莉莎威力甚至強過當時的卡崔娜。

    2025年10月25日,牙買加民眾在5級颶風「美莉莎」來襲前,加緊修繕加固房屋。美聯社


    CNN報導稱「美莉莎」是今年以來最強颶風、怪物颶風,並指首都金斯敦街上幾乎已經無人跡,雖然還有零星的店鋪營業,開設五金店的鄧恩(Steve Dunn)說:「我們開門讓人們來買基本必需品,發電機、沙包、膠合板等,讓大家有工具保護家園和家人。」

    不過鄧恩也認為,一切的修繕加固恐怕效果不大:「我們根本無法為5級颶風做好準備,5級颶風的風力要大得多……一切都很猛烈。這對我們來說真的很難。」

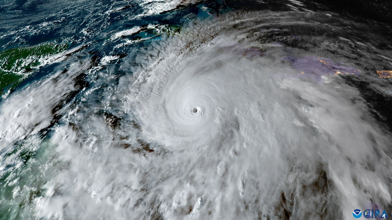
    2025年10月27日,美國國家海洋暨大氣總署發布「美莉莎」颶風衛星照。路透社


    牙買加蒙特戈灣市(Montego Bay)工作人員抓緊最後時間努力於排水系統清淤,當地預計週二下午颶風過境後迎來最嚴重的風暴。

    CNN警告「美莉莎」的強風固然恐怖,但是其水氣恐怕更致命,其風速可能減緩雨量卻不會,「美莉莎」預計為牙買加帶來508毫米到762毫米雨量,東部山區局部地區甚至可能超過1016毫米,這種降雨意味可能引發山洪暴發、山體滑坡。

    2025年10月27日,美國國家海洋暨大氣總署發布「美莉莎」颶風衛星照。路透社
    簡竹君 收藏文章

    本網站使用Cookie以便為您提供更優質的使用體驗,若您點擊下方“同意”或繼續瀏覽本網站,即表示您同意我們的Cookie政策,欲瞭解更多資訊請見